収益物件/工場 三郷市鷹野4丁目
所在地
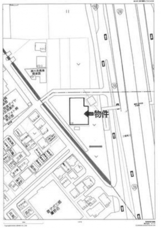
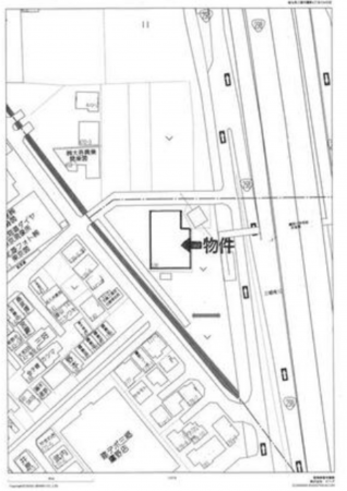
三郷市鷹野4丁目
34,000万円
・鉄骨造2階建ての売り工場です‼
・外観三郷南ICより約400mのアクセスです。
・ダイソー三郷鷹野店:418m
・セブンイレブン三郷鷹野中央通り店:516m
・FOODS MARKET Selection三郷店:661m
・まいどおおきに食堂三郷たかの食堂:799m
・コビープリスクールみさとたかの:537m
・エネオス三郷南SS:900m
・みさと健和病院:526m
物件概要
- 交通
-
つくばEX 三郷中央駅 まで 徒歩37分
- 接道状況
- 北側 公道6.7m
- 土地面積
- 996.00㎡ (301.28坪)
- 建物面積
- 775.99㎡ (234.73坪)
- 所在階/階数
- 築年数
-
2016年
(平成28)
10月
築9年 - 建ぺい率
- 60%
- 容積率
- 200%
- 土地権利
- 所有権
- 構造および階数
- 鉄骨造 地上2階建
- 総戸数
- 小学校区
- 鷹野
- 中学校区
- 前川
- 私道負担
- 地目
- 宅地
- 現況
- 居住中
- 引渡時期
- 期日指定
- 駐車場
- 上水道
- 公共
- 下水道
- 浄化槽個別
- ガス
- 都市計画
- 市街化調整区域
- 管理形態
- 管理方式
- 用途地域
- 設備・条件
- 備考
- 取引態様
- 仲介
